SLS Intertank Test Article, ITA, is attached to crosshead of load test Annex, Bldg. 4619, and removed from bed of KMAG transporter.  ITA is slowly raised from bed of KMAG transporter and KMAG is removed.
SLS Intertank Test Article, ITA, is attached to crosshead of loa
SLS Intertank Test Article, ITA, is attached to crosshead of load test Annex, Bldg. 4619, and removed from bed of KMAG transporter.  ITA is slowly raised from bed of KMAG transporter and KMAG is removed.
SLS Intertank Test Article, ITA, is attached to crosshead of loa
SLS Intertank Test Article, ITA, is attached to crosshead of load test Annex, Bldg. 4619, and removed from bed of KMAG transporter.  ITA is slowly raised from bed of KMAG transporter and KMAG is removed.
SLS Intertank Test Article, ITA, is attached to crosshead of loa
Technicians are removed from SLS Intertank Test Article, ITA, after attaching to crosshead of load test Annex, Bldg. 4619,
SLS Intertank Test Article, ITA, is attached to crosshead of loa
SLS Intertank Test Article, ITA, is attached to crosshead of load test Annex, Bldg. 4619, and removed from bed of KMAG transporter.  ITA is suspended from crosshead of Load Test Annex
SLS Intertank Test Article, ITA, is attached to crosshead of loa
SLS Intertank Test Article, ITA, is attached to crosshead of load test Annex, Bldg. 4619, and removed from bed of KMAG transporter.  ITA is slowly raised from bed of KMAG transporter and KMAG is removed.
SLS Intertank Test Article, ITA, is attached to crosshead of loa
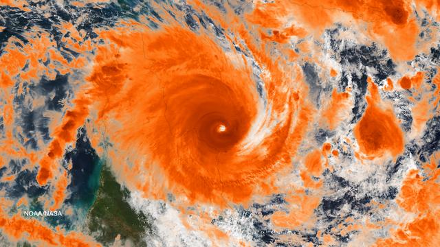
NASA's Aqua satellite passed over Tropical Cyclone Ita as it began making landfall on the Eastern Cape York Peninsula of Queensland, Australia, today, April 11, 2014. Ita officially made landfall at Cape Flattery about 9:00 p.m. local AEST time as a Category 4 storm according to reports from the Australian Broadcasting Corporation (ABC).  The Moderate Resolution Imaging Spectroradiometer that flies aboard Aqua captured an image of the Category 4 storm on April 11 at 12:00 a.m. EDT (4 a.m. UTC). Satellite imagery indicates the eye is 9.2 miles wide (8 nautical miles, or 14.8 km).  Warnings and watches remain in effect as the center of Ita is expected to remain at hurricane strength as it moves in a southerly direction, staying just west of Cairns over the next day. A tropical cyclone warning is in effect between Coen and Innisfail, including Cooktown, Port Douglas, Cairns, extending inland to Kalinga, Palmerville, Mareeba and Chillagoe. A tropical cyclone watch is in effect between Innisfail to Cardwell, extending inland.  ABC reported that the strongest maximum sustained winds around the center of circulation were near 142.9 mph (124.2 knots, or 230 kph) and many trees have been downed and homes damaged.  According to ABC, preliminary reports suggest that power may be out for a month in some areas.  On April 11 at 5 a.m. EDT (9 a.m. UTC), Tropical Cyclone Ita had maximum sustained winds near 143.8 mph (125 knots, or 231.5 kph). It was centered near 14.8 degrees south latitude and 145.3 degrees east longitude, about 168 miles (146 nautical miles, or 288 km) north of Cairns, Australia, and has tracked south-southwestward at 10.3 mph (9 knots, or 16.6 kph). Ita is moving around a subtropical ridge (elongated area) of high pressure and the Joint Typhoon Warning Center expects Ita to start curving to the southeast around that ridge in the next day before heading back out into the Coral Sea.  Credit: NASA/GSFC/Jeff Schmaltz/MODIS Land Rapid Response Team    Rob Gutro, NASA's Goddard Space Flight Center, Greenbelt, Md.  <b><a href="http://www.nasa.gov/audience/formedia/features/MP_Photo_Guidelines.html" rel="nofollow">NASA image use policy.</a></b>  <b><a href="http://www.nasa.gov/centers/goddard/home/index.html" rel="nofollow">NASA Goddard Space Flight Center</a></b> enables NASA’s mission through four scientific endeavors: Earth Science, Heliophysics, Solar System Exploration, and Astrophysics. Goddard plays a leading role in NASA’s accomplishments by contributing compelling scientific knowledge to advance the Agency’s mission.  <b>Follow us on <a href="http://twitter.com/NASAGoddardPix" rel="nofollow">Twitter</a></b>  <b>Like us on <a href="http://www.facebook.com/pages/Greenbelt-MD/NASA-Goddard/395013845897?ref=tsd" rel="nofollow">Facebook</a></b>  <b>Find us on <a href="http://instagram.com/nasagoddard?vm=grid" rel="nofollow">Instagram</a></b>
Powerful Tropical Cyclone Ita Making Landfall in Queensland, Australia
Robert Bobo, standing extreme right, and technicians view as SLS Intertank Test Article, ITA, is attached to crosshead of load test Annex, Bldg. 4619
SLS Intertank Test Article, ITA, is attached to crosshead of load testAnnex, Bldg. 4619, and removed from bed of KMAG transporter
SLS Intertank Test Article, ITA, is attached to crosshead of load test Annex, Bldg. 4619, and removed from bed of KMAG transporter.  Rob Ziegler, L, and Roger Myrick, R, of Aerie Aerospace attach load lines to Aft Load Ring of Intertank Test Articlle
SLS Intertank Test Article, ITA, is attached to crosshead of loa
SLS Intertank Test Article, ITA, is attached to crosshead of load test Annex, Bldg. 4619, and removed from bed of KMAG transporter. Rob Ziegler, (L), and Roger Myrick (R), of Aerie Aerospace attach load lines to Aft Load Ring of Intertank Test Article.
SLS Intertank Test Article, ITA, is attached to crosshead of loa
SLS Intertank Test Article, ITA, is attached to crosshead of load test Annex, Bldg. 4619, and removed from bed of KMAG transporter.  Rob Ziegler, (L), and Roger Myrick (R), of Aerie Aerospace attach load lines to Aft Load Ring of Intertank Test Article.
SLS Intertank Test Article, ITA, is attached to crosshead of loa
SLS Intertank Test Article, ITA, is attached to crosshead of load test Annex, Bldg. 4619, and removed from bed of KMAG transporter.  Rob Ziegler, (L), and Roger Myrick (R), of Aerie Aerospace attach load lines to Aft Load Ring of Intertank Test Article.
SLS Intertank Test Article, ITA, is attached to crosshead of loa
Residents of the northeast coast of Queensland, Australia are facing high winds, dangerous tides and very heavy rain between Cape Melville and Cooktown. These hazards will migrate southward for the next few days as the center of the storm remains close to the coast. This image was taken by the Suomi NPP satellite's VIIRS instrument around 0335Z on April11, 2014.  Credit: NASA/NOAA via <b><a href="www.nnvl.noaa.gov/" rel="nofollow"> NOAA Environmental Visualization Laboratory</a></b>  <b><a href="http://www.nasa.gov/audience/formedia/features/MP_Photo_Guidelines.html" rel="nofollow">NASA image use policy.</a></b>   <b><a href="http://www.nasa.gov/centers/goddard/home/index.html" rel="nofollow">NASA Goddard Space Flight Center</a></b> enables NASA’s mission through four scientific endeavors: Earth Science, Heliophysics, Solar System Exploration, and Astrophysics. Goddard plays a leading role in NASA’s accomplishments by contributing compelling scientific knowledge to advance the Agency’s mission.   <b>Follow us on <a href="http://twitter.com/NASAGoddardPix" rel="nofollow">Twitter</a></b>   <b>Like us on <a href="http://www.facebook.com/pages/Greenbelt-MD/NASA-Goddard/395013845897?ref=tsd" rel="nofollow">Facebook</a></b>   <b>Find us on <a href="http://instagram.com/nasagoddard?vm=grid" rel="nofollow">Instagram</a></b>
Tropical Cyclone Ita Off-Shore Queensland, Australia
KENNEDY SPACE CENTER, FLA. - Valerie Cassanto, with Instrumentation Technology Associates, Inc., works on an experiment found during the search for Columbia debris.  Mike Casasanto, also with ITA, looks on.  Included in the Commercial ITA Biomedical Experiments payload on mission STS-107 are urokinase cancer research, microencapsulation of drugs, the Growth of Bacterial Biofilm on Surfaces during Spaceflight (GOBBSS), and tin crystal formation.
KENNEDY SPACE CENTER, FLA. - Valerie Cassanto, with Instrumentation Technology Associates, Inc., works on an experiment found during the search for Columbia debris. Mike Casasanto, also with ITA, looks on. Included in the Commercial ITA Biomedical Experiments payload on mission STS-107 are urokinase cancer research, microencapsulation of drugs, the Growth of Bacterial Biofilm on Surfaces during Spaceflight (GOBBSS), and tin crystal formation.
Experiments to seek solutions for a range of biomedical issues are at the heart of several investigations that will be hosted by the Commercial Instrumentation Technology Associates (ITA), Inc. Biomedical Experiments (CIBX-2) payload. CIBX-2 is unique, encompassing more than 20 separate experiments including cancer research, commercial experiments, and student hands-on experiments from 10 schools as part of ITA's ongoing University Among the Stars program. Student Marnix Aklian and ITA's Mark Bem prepare biological samples for flight as part of ITA's hands-on student outreach program on STS-95. Similar activities are a part of the CIBX-2 payload. The experiments are sponsored by NASA's Space Product Development Program (SPD).
Space Product Development (SPD)
Experiments to seek solutions for a range of biomedical issues are at the heart of several investigations that will be hosted by the Commercial Instrumentation Technology Associates (ITA), Inc. The biomedical experiments CIBX-2 payload is unique, encompassing more than 20 separate experiments including cancer research, commercial experiments, and student hands-on experiments from 10 schools as part of ITA's ongoing University Among the stars program. Here, Astronaut Story Musgrave activates the CMIX-5 (Commercial MDA ITA experiment) payload in the Space Shuttle mid deck during the STS-80 mission in 1996 which is similar to CIBX-2. The experiments are sponsored by NASA's Space Product Development Program (SPD).
Space Product Development (SPD)
Experiments to seek solutions for a range of biomedical issues are at the heart of several investigations that will be hosted by the Commercial Instrumentation Technology Associates (ITA), Inc. Biomedical Experiments (CIBX-2) payload. CIBX-2 is unique, encompassing more than 20 separate experiments including cancer research, commercial experiments, and student hands-on experiments from 10 schools as part of ITA's ongoing University Among the Stars program. Valerie Cassanto of ITA checks the Canadian Protein Crystallization Experiment (CAPE) carried by STS-86 to Mir in 1997. The experiments are sponsored by NASA's Space Product Development Program (SPD).
Space Product Development (SPD)
KENNEDY SPACE CENTER, FLA. -   Valerie Cassanto is one of the scientists recovering experiments found during the search for Columbia debris.  Included in the Commercial ITA Biomedical Experiments payload on mission STS-107 are urokinase cancer research, microencapsulation of drugs, the Growth of Bacterial Biofilm on Surfaces during Spaceflight (GOBBSS), and tin crystal formation.
KENNEDY SPACE CENTER, FLA. - Valerie Cassanto is one of the scientists recovering experiments found during the search for Columbia debris. Included in the Commercial ITA Biomedical Experiments payload on mission STS-107 are urokinase cancer research, microencapsulation of drugs, the Growth of Bacterial Biofilm on Surfaces during Spaceflight (GOBBSS), and tin crystal formation.
SLS INTERTANK TEST ARTICLE IS ATTACHED TO CROSSHEAD OF LOAD TEST ANNEX, BLDG. 4619,  AND REMOVED FROM BED OF KMAG TRANSPORTER.  Matt Cash conducts tag up meeting before lift of ITA from KMAG transporter
SLS INTERTANK TEST ARTICLE IS ATTACHED TO CROSSHEAD OF LOAD TEST ANNEX, BLDG. 4619, AND REMOVED FROM BED OF KMAG TRANSPORTER
KENNEDY SPACE CENTER, FLA. -  George D'Heilly, with Instrumentation Technology Associates, Inc., Barry Perlman, with Pembroke Pines Middle School in Florida, John Cassanto, with ITA, and Lou Friedman, executive director of the Planetary Society, talk to the media about the experiments recovered during the search for Columbia debris.  They were part of the  Commercial ITA Biomedical Experiments payload on mission STS-107 that included the Growth of Bacterial Biofilm on Surfaces during Spaceflight (GOBBSS) experiment and crystals grown for cancer research.  The GOBBSS experiment was sponsored by the Planetary Society, with joint participation of an Israeli and a Palestinian student, and developed by the Israeli Aerospace Medical Institute and JSC Astrobiology Center.
KSC-03pd1439
Experiments to seek solutions for a range of biomedical issues are at the heart of several investigations that will be hosted by the Commercial Instrumentation Technology Associates (ITA), Inc. Biomedical Experiments (CIBX-2) payload. CIBX-2 is unique, encompassing more than 20 separate experiments including cancer research, commercial experiments, and student hands-on experiments from 10 schools as part of ITA's ongoing University Among the Stars program. Astronaut William G. Gregory activates Liquids Mixing Apparatus (LMA) vials during STS-67. Other LMAs hang at top on the face of the middeck locker array. The experiments are sponsored under NASA's Space Product Development Program (SPD).
Space Product Development (SPD)
KENNEDY SPACE CENTER, FLA. - In the background, scientists talk to the media about the experiments recovered during the search for Columbia debris.  From left are George D'Heilly, with Instrumentation Technology Associates, Inc.; Barry Perlman, with Pembroke Pines Middle School in Florida; John Cassanto, with ITA; and Lou Friedman, executive director of the Planetary Society.  The  Commercial ITA Biomedical Experiments payload on mission STS-107 included the Growth of Bacterial Biofilm on Surfaces during Spaceflight (GOBBSS) experiment and crystals grown for cancer research.  The GOBBSS experiment was sponsored by the Planetary Society, with joint participation of an Israeli and a Palestinian student, and developed by the Israeli Aerospace Medical Institute and JSC Astrobiology Center.
KSC-03pd1441
KENNEDY SPACE CENTER, FLA. - Valerie Cassanto, with Instrumentation Technology Associates, Inc., examines closely the container containing one of the experiments carried on mission STS-107.  Several experiments were found during the search for Columbia debris.  Included in the Commercial ITA Biomedical Experiments payload on mission STS-107 are urokinase cancer research, microencapsulation of drugs, the Growth of Bacterial Biofilm on Surfaces during Spaceflight (GOBBSS), and tin crystal formation.
KENNEDY SPACE CENTER, FLA. - Valerie Cassanto, with Instrumentation Technology Associates, Inc., examines closely the container containing one of the experiments carried on mission STS-107. Several experiments were found during the search for Columbia debris. Included in the Commercial ITA Biomedical Experiments payload on mission STS-107 are urokinase cancer research, microencapsulation of drugs, the Growth of Bacterial Biofilm on Surfaces during Spaceflight (GOBBSS), and tin crystal formation.
KENNEDY SPACE CENTER, FLA. -  Valerie Cassanto, Instrumentation Technology Associates, Inc., studies one of the experiments carried on mission STS-107. Several experiments were found during the search for Columbia debris. Included in the Commercial ITA Biomedical Experiments payload on mission STS-107 are urokinase cancer research, microencapsulation of drugs, the Growth of Bacterial Biofilm on Surfaces during Spaceflight (GOBBSS), and tin crystal formation.  The latter was sponsored by the Pembroke Pines Charter Middle School.
KENNEDY SPACE CENTER, FLA. - Valerie Cassanto, Instrumentation Technology Associates, Inc., studies one of the experiments carried on mission STS-107. Several experiments were found during the search for Columbia debris. Included in the Commercial ITA Biomedical Experiments payload on mission STS-107 are urokinase cancer research, microencapsulation of drugs, the Growth of Bacterial Biofilm on Surfaces during Spaceflight (GOBBSS), and tin crystal formation. The latter was sponsored by the Pembroke Pines Charter Middle School.
KENNEDY SPACE CENTER, FLA. - Valerie Cassanto, with Instrumentation Technology Associates, Inc., and Bob McLean, from the Southwest Texas State University, transfer to a new container material from one of the experiments carried on mission STS-107.  Several experiments were found during the search for Columbia debris.  Included in the Commercial ITA Biomedical Experiments payload on mission STS-107 are urokinase cancer research, microencapsulation of drugs, the Growth of Bacterial Biofilm on Surfaces during Spaceflight (GOBBSS), and tin crystal formation.
KENNEDY SPACE CENTER, FLA. - Valerie Cassanto, with Instrumentation Technology Associates, Inc., and Bob McLean, from the Southwest Texas State University, transfer to a new container material from one of the experiments carried on mission STS-107. Several experiments were found during the search for Columbia debris. Included in the Commercial ITA Biomedical Experiments payload on mission STS-107 are urokinase cancer research, microencapsulation of drugs, the Growth of Bacterial Biofilm on Surfaces during Spaceflight (GOBBSS), and tin crystal formation.
KENNEDY SPACE CENTER, FLA. - The apparatus shown was designed to hold microcapsules for research on mission STS-107.  It is one over several  included in the Commercial ITA Biomedical Experiments payload.  The box was recently recovered during the search for Columbia debris.  The drug delivery system and spaceflight hardware was developed jointly by JSC, the Institute for Research Inc. and Instrumentation Technology Associates Inc. to conduct microencapsulation experiments under microgravity conditions.
KENNEDY SPACE CENTER, FLA. - The apparatus shown was designed to hold microcapsules for research on mission STS-107. It is one over several included in the Commercial ITA Biomedical Experiments payload. The box was recently recovered during the search for Columbia debris. The drug delivery system and spaceflight hardware was developed jointly by JSC, the Institute for Research Inc. and Instrumentation Technology Associates Inc. to conduct microencapsulation experiments under microgravity conditions.
KENNEDY SPACE CENTER, FLA. -  Valerie Cassanto, with Instrumentation Technology Associates, Inc., works on an experiment found during the search for Columbia debris.  Included in the Commercial ITA Biomedical Experiments payload on mission STS-107 are urokinase cancer research, microencapsulation of drugs, the Growth of Bacterial Biofilm on Surfaces during Spaceflight (GOBBSS), and tin crystal formation.
KENNEDY SPACE CENTER, FLA. - Valerie Cassanto, with Instrumentation Technology Associates, Inc., works on an experiment found during the search for Columbia debris. Included in the Commercial ITA Biomedical Experiments payload on mission STS-107 are urokinase cancer research, microencapsulation of drugs, the Growth of Bacterial Biofilm on Surfaces during Spaceflight (GOBBSS), and tin crystal formation.
KENNEDY SPACE CENTER, FLA. -  Dr. Dennis Morrison, NASA Johnson Space Center, works with one of the experiments carried on mission STS-107. Several experiments were found during the search for Columbia debris. Included in the Commercial ITA Biomedical Experiments payload on mission STS-107 are urokinase cancer research, microencapsulation of drugs, the Growth of Bacterial Biofilm on Surfaces during Spaceflight (GOBBSS), and tin crystal formation.
KENNEDY SPACE CENTER, FLA. - Dr. Dennis Morrison, NASA Johnson Space Center, works with one of the experiments carried on mission STS-107. Several experiments were found during the search for Columbia debris. Included in the Commercial ITA Biomedical Experiments payload on mission STS-107 are urokinase cancer research, microencapsulation of drugs, the Growth of Bacterial Biofilm on Surfaces during Spaceflight (GOBBSS), and tin crystal formation.
KENNEDY SPACE CENTER, FLA. -  Valerie Cassanto (foreground), Instrumentation Technology Associates, Inc., examines one of the experiments carried on mission STS-107. Several experiments were found during the search for Columbia debris. Included in the Commercial ITA Biomedical Experiments payload on mission STS-107 are urokinase cancer research, microencapsulation of drugs, the Growth of Bacterial Biofilm on Surfaces during Spaceflight (GOBBSS), and tin crystal formation.
KENNEDY SPACE CENTER, FLA. - Valerie Cassanto (foreground), Instrumentation Technology Associates, Inc., examines one of the experiments carried on mission STS-107. Several experiments were found during the search for Columbia debris. Included in the Commercial ITA Biomedical Experiments payload on mission STS-107 are urokinase cancer research, microencapsulation of drugs, the Growth of Bacterial Biofilm on Surfaces during Spaceflight (GOBBSS), and tin crystal formation.
KENNEDY SPACE CENTER, FLA. -  The crystals visible in this laboratory dish were part of an experiment carried on mission STS-107. Several experiments were found during the search for Columbia debris. Included in the Commercial ITA Biomedical Experiments payload on mission STS-107 are urokinase cancer research, microencapsulation of drugs, the Growth of Bacterial Biofilm on Surfaces during Spaceflight (GOBBSS), and tin crystal formation.
KENNEDY SPACE CENTER, FLA. - The crystals visible in this laboratory dish were part of an experiment carried on mission STS-107. Several experiments were found during the search for Columbia debris. Included in the Commercial ITA Biomedical Experiments payload on mission STS-107 are urokinase cancer research, microencapsulation of drugs, the Growth of Bacterial Biofilm on Surfaces during Spaceflight (GOBBSS), and tin crystal formation.
KENNEDY SPACE CENTER, FLA. -  Barry Perlman, Pembroke Pines Charter Middle School in Florida, prepares a computer to receive data from an experiment carried on mission STS-107. Several experiments were found during the search for Columbia debris. Included in the Commercial ITA Biomedical Experiments payload on mission STS-107 are urokinase cancer research, microencapsulation of drugs, the Growth of Bacterial Biofilm on Surfaces during Spaceflight (GOBBSS), and tin crystal formation. The latter was sponsored by the Pembroke Pines Charter Middle School.
KENNEDY SPACE CENTER, FLA. - Barry Perlman, Pembroke Pines Charter Middle School in Florida, prepares a computer to receive data from an experiment carried on mission STS-107. Several experiments were found during the search for Columbia debris. Included in the Commercial ITA Biomedical Experiments payload on mission STS-107 are urokinase cancer research, microencapsulation of drugs, the Growth of Bacterial Biofilm on Surfaces during Spaceflight (GOBBSS), and tin crystal formation. The latter was sponsored by the Pembroke Pines Charter Middle School.
KENNEDY SPACE CENTER, FLA. -  From left, Bob McLean, Southwest Texas State University; Valerie Cassanto, Instrumentation Technology Associates, Inc.; and Dennis Morrison, NASA Johnson Space Center, process one of the experiments carried on mission STS-107. Several experiments were found during the search for Columbia debris. Included in the Commercial ITA Biomedical Experiments payload on mission STS-107 are urokinase cancer research, microencapsulation of drugs, the Growth of Bacterial Biofilm on Surfaces during Spaceflight (GOBBSS), and tin crystal formation.
KENNEDY SPACE CENTER, FLA. - From left, Bob McLean, Southwest Texas State University; Valerie Cassanto, Instrumentation Technology Associates, Inc.; and Dennis Morrison, NASA Johnson Space Center, process one of the experiments carried on mission STS-107. Several experiments were found during the search for Columbia debris. Included in the Commercial ITA Biomedical Experiments payload on mission STS-107 are urokinase cancer research, microencapsulation of drugs, the Growth of Bacterial Biofilm on Surfaces during Spaceflight (GOBBSS), and tin crystal formation.
KENNEDY SPACE CENTER, FLA. -  From left, Valerie Cassanto, Instrumentation Technology Associates, Inc., and Dr. Dennis Morrison, NASA Johnson Space Center, analyze one of the experiments carried on mission STS-107. Several experiments were found during the search for Columbia debris. Included in the Commercial ITA Biomedical Experiments payload on mission STS-107 are urokinase cancer research, microencapsulation of drugs, the Growth of Bacterial Biofilm on Surfaces during Spaceflight (GOBBSS), and tin crystal formation.
KENNEDY SPACE CENTER, FLA. - From left, Valerie Cassanto, Instrumentation Technology Associates, Inc., and Dr. Dennis Morrison, NASA Johnson Space Center, analyze one of the experiments carried on mission STS-107. Several experiments were found during the search for Columbia debris. Included in the Commercial ITA Biomedical Experiments payload on mission STS-107 are urokinase cancer research, microencapsulation of drugs, the Growth of Bacterial Biofilm on Surfaces during Spaceflight (GOBBSS), and tin crystal formation.
KENNEDY SPACE CENTER, FLA. -  Dr. Dennis Morrison, NASA Johnson Space Center, processes one of the experiments carried on mission STS-107. Several experiments were found during the search for Columbia debris. Included in the Commercial ITA Biomedical Experiments payload on mission STS-107 are urokinase cancer research, microencapsulation of drugs, the Growth of Bacterial Biofilm on Surfaces during Spaceflight (GOBBSS), and tin crystal formation.
KENNEDY SPACE CENTER, FLA. - Dr. Dennis Morrison, NASA Johnson Space Center, processes one of the experiments carried on mission STS-107. Several experiments were found during the search for Columbia debris. Included in the Commercial ITA Biomedical Experiments payload on mission STS-107 are urokinase cancer research, microencapsulation of drugs, the Growth of Bacterial Biofilm on Surfaces during Spaceflight (GOBBSS), and tin crystal formation.
KENNEDY SPACE CENTER, FLA. - Valerie Cassanto, with Instrumentation Technology Associates, Inc., and Bob McLean, from the Southwest Texas State University, work on an experiment found during the search for Columbia debris.  Included in the Commercial ITA Biomedical Experiments payload on mission STS-107 are urokinase cancer research, microencapsulation of drugs, the Growth of Bacterial Biofilm on Surfaces during Spaceflight (GOBBSS), and tin crystal formation.
KENNEDY SPACE CENTER, FLA. - Valerie Cassanto, with Instrumentation Technology Associates, Inc., and Bob McLean, from the Southwest Texas State University, work on an experiment found during the search for Columbia debris. Included in the Commercial ITA Biomedical Experiments payload on mission STS-107 are urokinase cancer research, microencapsulation of drugs, the Growth of Bacterial Biofilm on Surfaces during Spaceflight (GOBBSS), and tin crystal formation.
KENNEDY SPACE CENTER, FLA. -  From left, Bob McLean, Southwest Texas State University, and Valerie Cassanto, Instrumentation Technology Associates, Inc., study one of the experiments carried on mission STS-107. Several experiments were found during the search for Columbia debris. Included in the Commercial ITA Biomedical Experiments payload on mission STS-107 are urokinase cancer research, microencapsulation of drugs, the Growth of Bacterial Biofilm on Surfaces during Spaceflight (GOBBSS), and tin crystal formation.
KENNEDY SPACE CENTER, FLA. - From left, Bob McLean, Southwest Texas State University, and Valerie Cassanto, Instrumentation Technology Associates, Inc., study one of the experiments carried on mission STS-107. Several experiments were found during the search for Columbia debris. Included in the Commercial ITA Biomedical Experiments payload on mission STS-107 are urokinase cancer research, microencapsulation of drugs, the Growth of Bacterial Biofilm on Surfaces during Spaceflight (GOBBSS), and tin crystal formation.
iss042e222241 (2/5/2015) --- Photographic documentation of the JEM Small Satellite Orbital Deployer-3 (J-SSOD-3) mission deploy of the CubeSat AESP-14 from Kibo. The satellite was developed by the Technological Institute of Aeronautics (ITA), with support from the Brazilian Space Agency (AEB), and the National Institute for Space Research (INPE).
JEMRMS Small Satellite Deployment observation
KENNEDY SPACE CENTER, FLA. - Dennis Morrison, senior biotech program scientist, talks to a reporter about an experiment recovered during the search for Columbia debris.  He is the principle investigator on microencapsulation and urokinase crystal growth included in the Commercial ITA Biomedical Experiments payload on mission STS-107.
KSC-03pd1445
KENNEDY SPACE CENTER, FLA. - Dennis Morrison, senior biotech program scientist, talks to a reporter about an experiment recovered during the search for Columbia debris.  He is the principle investigator on microencapsulation and urokinase crystal growth included in the Commercial ITA Biomedical Experiments payload on mission STS-107.
KSC-03pd1444
KENNEDY SPACE CENTER, FLA. - Dennis Morrison, senior biotech program scientist, talks to the media about an experiment recovered during the search for Columbia debris.  He is the principle investigator on microencapsulation and urokinase crystal growth included in the Commercial ITA Biomedical Experiments payload on mission STS-107.
KSC-03pd1443
iss042e224107 (2/5/2015) --- Photographic documentation of the JEM Small Satellite Orbital Deployer-3 (J-SSOD-3) mission deploy of the CubeSat AESP-14 from Kibo. The satellite was developed by the Technological Institute of Aeronautics (ITA), with support from the Brazilian Space Agency (AEB), and the National Institute for Space Research (INPE).
JEM JSSOD operations
iss042e222236 (2/5/2015) --- Photographic documentation of the JEM Small Satellite Orbital Deployer-3 (J-SSOD-3) mission deploy of the CubeSat AESP-14 from Kibo. The satellite was developed by the Technological Institute of Aeronautics (ITA), with support from the Brazilian Space Agency (AEB), and the National Institute for Space Research (INPE).
JEMRMS Small Satellite Deployment observation
KENNEDY SPACE CENTER, FLA. - The Commercial ITA Biomedical Experiments payload retrieved from debris of Columbia is being dismantled at KSC.  Inside are several experiments carried on mission STS-107 that will be removed and transferred to alternate containers.  One experiment, the Growth of Bacterial Biofilm on Surfaces during Spaceflight (GOBBSS), was a Planetary Society-sponsored astrobiology experiment developed by the Israeli Aerospace Medical Institute and the Johnson Space Center Astrobiology Center, with joint participation of an Israeli and a Palestinian student.  The recovery team includes Eran Schenker of the Israeli Aerospace Medical Institute; David Warmflash of JSC, John Cassanto of ITA, and Louis Friedman, executive director of the Planetary Society.  The GOBBSS material will be sent to JSC where the science team will analyze the samples, studying the effects of spaceflight on bacterial growth.
KSC-03pd1391
KENNEDY SPACE CENTER, FLA. - John Cassanto of ITA takes photos of the Growth of Bacterial Biofilm on Surfaces during Spaceflight (GOBBSS) experiment that was carried on mission STS-107 as part of the Commercial ITA Biomedical Experiments payload.  He is part of a recovery team transferring experiments to alternate containers.  GOBBSS was a Planetary Society-sponsored astrobiology experiment developed by the Israeli Aerospace Medical Institute and the Johnson Space Center Astrobiology Center, with joint participation of an Israeli and a Palestinian student.  The recovery team also includes Eran Schenker of the Israeli Aerospace Medical Institute; David Warmflash of JSC, and Louis Friedman, executive director of the Planetary Society.  The GOBBSS material will be sent to JSC where the science team will analyze the samples, studying the effects of spaceflight on bacterial growth.
KSC-03pd1397
KENNEDY SPACE CENTER, FLA. - John Cassanto of ITA moves part of the Growth of Bacterial Biofilm on Surfaces during Spaceflight (GOBBSS) experiment that was carried on mission STS-107 as part of the Commercial ITA Biomedical Experiments payload.  He is part of a recovery team transferring experiments to alternate containers.  GOBBSS was a Planetary Society-sponsored astrobiology experiment developed by the Israeli Aerospace Medical Institute and the Johnson Space Center Astrobiology Center, with joint participation of an Israeli and a Palestinian student.  The recovery team also includes Eran Schenker of the Israeli Aerospace Medical Institute; David Warmflash of JSC, and Louis Friedman, executive director of the Planetary Society.  The GOBBSS material will be sent to JSC where the science team will analyze the samples, studying the effects of spaceflight on bacterial growth.
KSC-03pd1395
Experiments to seek solutions for a range of biomedical issues are at the heart of several investigations that will be hosted by the Commercial Instrumentation Technology Associates (ITA), Inc. Biomedical Experiments (CIBX-2) payload. CIBX-2 is unique, encompassing more than 20 separate experiments including cancer research, commercial experiments, and student hands-on experiments from 10 schools as part of ITA's ongoing University Among the Stars program. This drawing depicts a cross-section of a set of Dual-Materials Dispersion Apparatus (DMDA) specimen wells, one of which can include a reverse osmosis membrane to dewater a protein solution and thus cause crystallization. Depending on individual needs, two or three wells may be used, the membrane may be absent, or other proprietary enhancements may be present. The experiments are sponsored by NASA's Space Product Development Program (SPD).
Space Product Development (SPD)
KENNEDY SPACE CENTER, FLA. -  Valerie Cassanto holds a piece of the Commercial ITA Biomedical Experiments payload that was carried on mission STS-107 and recently recovered.  She is the daughter of John Cassanto of ITA, who is part of a recovery team transferring experiments to alternate containers. One of the experiments was the Growth of Bacterial Biofilm on Surfaces during Spaceflight (GOBBSS), a Planetary Society-sponsored astrobiology experiment developed by the Israeli Aerospace Medical Institute and the Johnson Space Center Astrobiology Center, with joint participation of an Israeli and a Palestinian student.  The recovery team also includes Eran Schenker of the Israeli Aerospace Medical Institute; David Warmflash of JSC, and Louis Friedman, executive director of the Planetary Society.  The GOBBSS material will be sent to JSC where the science team will analyze the samples, studying the effects of spaceflight on bacterial growth.
KSC-03pd1399
KENNEDY SPACE CENTER, FLA. - The Commercial ITA Biomedical Experiments payload retrieved from debris of Columbia is being dismantled at KSC.  Inside are several experiments carried on mission STS-107 that will be removed and transferred to alternate containers.  One experiment, the Growth of Bacterial Biofilm on Surfaces during Spaceflight (GOBBSS), was a Planetary Society-sponsored astrobiology experiment developed by the Israeli Aerospace Medical Institute and the Johnson Space Center Astrobiology Center, with joint participation of an Israeli and a Palestinian student.  The recovery team includes Eran Schenker of the Israeli Aerospace Medical Institute; David Warmflash of JSC, John Cassanto of ITA, and Louis Friedman, executive director of the Planetary Society.  The GOBBSS material will be sent to JSC where the science team will analyze the samples, studying the effects of spaceflight on bacterial growth.
KSC-03pd1392
KENNEDY SPACE CENTER, FLA. -  John Cassanto of ITA looks at the Growth of Bacterial Biofilm on Surfaces during Spaceflight (GOBBSS) experiment that was carried on mission STS-107 as part of the Commercial ITA Biomedical Experiments payload.  He is part of a recovery team transferring experiments to alternate containers.  GOBBSS was a Planetary Society-sponsored astrobiology experiment developed by the Israeli Aerospace Medical Institute and the Johnson Space Center Astrobiology Center, with joint participation of an Israeli and a Palestinian student.  The recovery team also includes Eran Schenker of the Israeli Aerospace Medical Institute; David Warmflash of JSC, and Louis Friedman, executive director of the Planetary Society.  The GOBBSS material will be sent to JSC where the science team will analyze the samples, studying the effects of spaceflight on bacterial growth.
KSC-03pd1393
KENNEDY SPACE CENTER, FLA. - John Cassanto of ITA points to an area of the Growth of Bacterial Biofilm on Surfaces during Spaceflight (GOBBSS) experiment that was carried on mission STS-107 as part of the Commercial ITA Biomedical Experiments payload.  He is part of a recovery team transferring experiments to alternate containers.  GOBBSS was a Planetary Society-sponsored astrobiology experiment developed by the Israeli Aerospace Medical Institute and the Johnson Space Center Astrobiology Center, with joint participation of an Israeli and a Palestinian student.  The recovery team also includes Eran Schenker of the Israeli Aerospace Medical Institute; David Warmflash of JSC, and Louis Friedman, executive director of the Planetary Society.  The GOBBSS material will be sent to JSC where the science team will analyze the samples, studying the effects of spaceflight on bacterial growth.
KSC-03pd1396
KENNEDY SPACE CENTER, FLA. - John Cassanto of ITA and his daughter Valerie stand next to the table holding the Growth of Bacterial Biofilm on Surfaces during Spaceflight (GOBBSS) experiment that was carried on mission STS-107 as part of the Commercial ITA Biomedical Experiments payload.  He is part of a recovery team transferring experiments to alternate containers.  GOBBSS was a Planetary Society-sponsored astrobiology experiment developed by the Israeli Aerospace Medical Institute and the Johnson Space Center Astrobiology Center, with joint participation of an Israeli and a Palestinian student.  The recovery team also includes Eran Schenker of the Israeli Aerospace Medical Institute; David Warmflash of JSC, and Louis Friedman, executive director of the Planetary Society.  The GOBBSS material will be sent to JSC where the science team will analyze the samples, studying the effects of spaceflight on bacterial growth.
KSC-03pd1398
KENNEDY SPACE CENTER, FLA. -  Barry Perlman, Pembroke Pines Charter Middle School in Florida, examines one of the experiments carried on mission STS-107 as Bob McLean, Southwest Texas State University, looks on. Several experiments were found during the search for Columbia debris. Included in the Commercial ITA Biomedical Experiments payload on mission STS-107 are urokinase cancer research, microencapsulation of drugs, the Growth of Bacterial Biofilm on Surfaces during Spaceflight (GOBBSS), and tin crystal formation.  The latter was sponsored by the Pembroke Pines Charter Middle School.
KENNEDY SPACE CENTER, FLA. - Barry Perlman, Pembroke Pines Charter Middle School in Florida, examines one of the experiments carried on mission STS-107 as Bob McLean, Southwest Texas State University, looks on. Several experiments were found during the search for Columbia debris. Included in the Commercial ITA Biomedical Experiments payload on mission STS-107 are urokinase cancer research, microencapsulation of drugs, the Growth of Bacterial Biofilm on Surfaces during Spaceflight (GOBBSS), and tin crystal formation. The latter was sponsored by the Pembroke Pines Charter Middle School.
KENNEDY SPACE CENTER, FLA. -  From left, Barry Perlman, Pembroke Pines Charter Middle School in Florida, and Valerie Cassanto, Instrumentation Technology Associates, Inc., process one of the experiments carried on mission STS-107. Several experiments were found during the search for Columbia debris. Included in the Commercial ITA Biomedical Experiments payload on mission STS-107 are urokinase cancer research, microencapsulation of drugs, the Growth of Bacterial Biofilm on Surfaces during Spaceflight (GOBBSS), and tin crystal formation.  The latter was sponsored by the Pembroke Pines Charter Middle School.
KENNEDY SPACE CENTER, FLA. - From left, Barry Perlman, Pembroke Pines Charter Middle School in Florida, and Valerie Cassanto, Instrumentation Technology Associates, Inc., process one of the experiments carried on mission STS-107. Several experiments were found during the search for Columbia debris. Included in the Commercial ITA Biomedical Experiments payload on mission STS-107 are urokinase cancer research, microencapsulation of drugs, the Growth of Bacterial Biofilm on Surfaces during Spaceflight (GOBBSS), and tin crystal formation. The latter was sponsored by the Pembroke Pines Charter Middle School.
KENNEDY SPACE CENTER, FLA. -  From left, Barry Perlman, Pembroke Pines Charter Middle School in Florida; Valerie Cassanto, Instrumentation Technology Associates, Inc.; and Dr. Dennis Morrison, NASA Johnson Space Center, process one of the experiments carried on mission STS-107. Several experiments were found during the search for Columbia debris. Included in the Commercial ITA Biomedical Experiments payload on mission STS-107 are urokinase cancer research, microencapsulation of drugs, the Growth of Bacterial Biofilm on Surfaces during Spaceflight (GOBBSS), and tin crystal formation.  The latter was sponsored by the Pembroke Pines Charter Middle School.
KENNEDY SPACE CENTER, FLA. - From left, Barry Perlman, Pembroke Pines Charter Middle School in Florida; Valerie Cassanto, Instrumentation Technology Associates, Inc.; and Dr. Dennis Morrison, NASA Johnson Space Center, process one of the experiments carried on mission STS-107. Several experiments were found during the search for Columbia debris. Included in the Commercial ITA Biomedical Experiments payload on mission STS-107 are urokinase cancer research, microencapsulation of drugs, the Growth of Bacterial Biofilm on Surfaces during Spaceflight (GOBBSS), and tin crystal formation. The latter was sponsored by the Pembroke Pines Charter Middle School.
KENNEDY SPACE CENTER, FLA. -  From left, Barry Perlman, Pembroke Pines Charter Middle School in Florida, and Valerie Cassanto, Instrumentation Technology Associates, Inc., process one of the experiments carried on mission STS-107. Several experiments were found during the search for Columbia debris. Included in the Commercial ITA Biomedical Experiments payload on mission STS-107 are urokinase cancer research, microencapsulation of drugs, the Growth of Bacterial Biofilm on Surfaces during Spaceflight (GOBBSS), and tin crystal formation.  The latter was sponsored by the Pembroke Pines Charter Middle School.
KENNEDY SPACE CENTER, FLA. - From left, Barry Perlman, Pembroke Pines Charter Middle School in Florida, and Valerie Cassanto, Instrumentation Technology Associates, Inc., process one of the experiments carried on mission STS-107. Several experiments were found during the search for Columbia debris. Included in the Commercial ITA Biomedical Experiments payload on mission STS-107 are urokinase cancer research, microencapsulation of drugs, the Growth of Bacterial Biofilm on Surfaces during Spaceflight (GOBBSS), and tin crystal formation. The latter was sponsored by the Pembroke Pines Charter Middle School.
KENNEDY SPACE CENTER, FLA. -  From left, Barry Perlman, Pembroke Pines Charter Middle School in Florida, and Valerie Cassanto, Instrumentation Technology Associates, Inc., analyze one of the experiments carried on mission STS-107. Several experiments were found during the search for Columbia debris. Included in the Commercial ITA Biomedical Experiments payload on mission STS-107 are urokinase cancer research, microencapsulation of drugs, the Growth of Bacterial Biofilm on Surfaces during Spaceflight (GOBBSS), and tin crystal formation.  The latter was sponsored by the Pembroke Pines Charter Middle School.
KENNEDY SPACE CENTER, FLA. - From left, Barry Perlman, Pembroke Pines Charter Middle School in Florida, and Valerie Cassanto, Instrumentation Technology Associates, Inc., analyze one of the experiments carried on mission STS-107. Several experiments were found during the search for Columbia debris. Included in the Commercial ITA Biomedical Experiments payload on mission STS-107 are urokinase cancer research, microencapsulation of drugs, the Growth of Bacterial Biofilm on Surfaces during Spaceflight (GOBBSS), and tin crystal formation. The latter was sponsored by the Pembroke Pines Charter Middle School.
KENNEDY SPACE CENTER, FLA. - Pictured is one of the microcapsules removed from the Commercial ITA Biomedical Experiments payload recovered during the search for Columbia debris.  The drug delivery system and spaceflight hardware was developed jointly by JSC, the Institute for Research Inc. and Instrumentation Technology Associates Inc. to conduct microencapsulation experiments under microgravity conditions.  This microcapsule contains an antibiotic for treating deep resistant pulmonary infections.  Dr. Dennis Morrison, senior biotech project scientist, is principle investigator on microencapsulation and urokinase crystal growth.
KSC-03pd1448
George D'Heilly and John Cassanto, scientists with Instrumentation Technology Associates, Inc., display for the media part of the apparatus recovered during the search for Columbia debris. It was part of the Commercial ITA Biomedical Experiments payload on mission STS-107 that included the Growth of Bacterial Biofilm on Surfaces during Spaceflight (GOBBSS) experiment and crystals grown for cancer research. The GOBBSS experiment was sponsored by the Planetary Society, with joint participation of an Israeli and a Palestinian student, and developed by the Israeli Aerospace Medical Institute and JSC Astrobiology Center.
Columbia Debris
KENNEDY SPACE CENTER, FLA. - Pictured is one of the microcapsules removed from the Commercial ITA Biomedical Experiments payload recovered during the search for Columbia debris.  The drug delivery system and spaceflight hardware was developed jointly by JSC, the Institute for Research Inc. and Instrumentation Technology Associates Inc. to conduct microencapsulation experiments under microgravity conditions.  This microcapsule contains an antibiotic for treating deep resistant pulmonary infections.   Dr. Dennis Morrison, senior biotech project scientist, is principle investigator on microencapsulation and urokinase crystal growth.
KSC-03pd1449
KENNEDY SPACE CENTER, FLA. -  A.K. Love,  with Instrumentation Technology Associates, Inc., displays one of the boxes used for cancer cell research, an experiment carried on mission STS-107.  Several experiments were found during the search for Columbia debris.  Included in the Commercial ITA Biomedical Experiments payload on mission STS-107 are urokinase cancer research, microencapsulation of drugs, the Growth of Bacterial Biofilm on Surfaces during Spaceflight (GOBBSS), and tin crystal formation.
KSC-03pd1458
KENNEDY SPACE CENTER, FLA. -  Pictured is one of the microcapsules removed from the Commercial ITA Biomedical Experiments payload recovered during the search for Columbia debris.  The drug delivery system and spaceflight hardware was developed jointly by JSC, the Institute for Research Inc. and Instrumentation Technology Associates Inc. to conduct microencapsulation experiments under microgravity conditions.  This microcapsule contains an antibiotic for treating deep resistant pulmonary infections.  Dr. Dennis Morrison, senior biotech project scientist, is principle investigator on microencapsulation and urokinase crystal growth.
KSC-03pd1447
NASA recently completed flight testing a state-of-the-art instrument designed to capture high-quality measurements of shock waves created by supersonic aircraft in flight. It’s called the Shock Sensing Probe. The probe’s performance was tested in flight at NASA’s Armstrong Flight Research Center in Edwards, California, using an innovative technique originated by NASA’s predecessor, the National Advisory Committee for Aeronautics.
Shock Sensing Probe Prepares for Flight
KENNEDY SPACE CENTER, FLA. - Valerie Cassanto and Bob McLean talk to a reporter about experiments found during the search for Columbia debris.  Cassanto is with Instrumentation Technology Associates Inc. and McLean is with the Southwest Texas State University. Included in the Commercial ITA Biomedical Experiments payload on mission STS-107 are urokinase cancer research, microencapsulation of drugs, the Growth of Bacterial Biofilm on Surfaces during Spaceflight (GOBBSS), and tin crystal formation.
KSC-03pd1452
KENNEDY SPACE CENTER, FLA. -  John Cassanto (center), with Instrumentation Technology Associates, Inc., explains the use of the apparatus used for experiments on mission STS-107.   At left is Barry Perlman, with Pembroke Pines Middle School in Florida; at right is Lou Friedman, executive director of the Planetary Society. The box was part of the  Commercial ITA Biomedical Experiments payload on mission STS-107 that included the Growth of Bacterial Biofilm on Surfaces during Spaceflight (GOBBSS) experiment and crystals grown for cancer research.  The GOBBSS experiment was sponsored by the Planetary Society, with joint participation of an Israeli and a Palestinian student, and developed by the Israeli Aerospace Medical Institute and JSC Astrobiology Center.
KSC-03pd1440
STS037-29-002 (5-11 April 1991) --- Astronauts Linda M. Godwin and Jerry L. Ross perform a balancing act on Atlantis' middeck. With little effort Godwin is able to hold Ross up near the ceiling with her index finger. Although the area the two occupy is very small, a number of articles are seen, including two sleep restraints, the escape pole and Bioserve ITA Materials Dispersion Apparatus bioprocessing test bed (attached to stowage lockers at left). This was one of the visuals used by the STS-37 crewmembers during their April 19 post-flight press conference at the Johnson Space Center (JSC).
STS-37 MS Godwin balances MS Ross using her index finger on OV-104's middeck
KENNEDY SPACE CENTER, FLA. -  Barry Perlman (left), with Pembroke Pines Charter Middle School in Florida, talks to the media about some of the experiments recovered during the search for Columbia debris.  At right are John Cassanto, with Instrumentation Technology Associates, Inc., and Lou Friedman, executive director of the Planetary Society.  The  Commercial ITA Biomedical Experiments payload on mission STS-107 included the Growth of Bacterial Biofilm on Surfaces during Spaceflight (GOBBSS) experiment and crystals grown for cancer research.  The GOBBSS experiment was sponsored by the Planetary Society, with joint participation of an Israeli and a Palestinian student, and developed by the Israeli Aerospace Medical Institute and JSC Astrobiology Center.
KSC-03pd1442
KENNEDY SPACE CENTER, FLA. - The apparatus shown was designed to hold microcapsules for research on mission STS-107.  It is one over several  included in the Commercial ITA Biomedical Experiments payload.  The box was recently recovered during the search for Columbia debris.  The drug delivery system and spaceflight hardware was developed jointly by JSC, the Institute for Research Inc. and Instrumentation Technology Associates Inc. to conduct microencapsulation experiments under microgravity conditions.  This microcapsule contains an antibiotic for treating deep resistant pulmonary infections.  Dr. Dennis Morrison, senior biotech project scientist, is principle investigator on microencapsulation and urokinase crystal growth.
KSC-03pd1446
KENNEDY SPACE CENTER, FLA. -  A member of the recovery team examines with a magnifier the Growth of Bacterial Biofilm on Surfaces during Spaceflight (GOBBSS) experiment that was carried on mission STS-107 as part of the Commercial ITA Biomedical Experiments payload.  He is part of a recovery team transferring experiments to alternate containers.  GOBBSS was a Planetary Society-sponsored astrobiology experiment developed by the Israeli Aerospace Medical Institute and the Johnson Space Center Astrobiology Center, with joint participation of an Israeli and a Palestinian student.  The recovery team includes Eran Schenker of the Israeli Aerospace Medical Institute; David Warmflash of JSC and Louis Friedman, executive director of the Planetary Society.  The GOBBSS material will be sent to JSC where the science team will analyze the samples, studying the effects of spaceflight on bacterial growth.
KSC-03pd1394